family CERAMBYCIDAE Latreille, 1802
subfamily LEPTURINAE Latereille, 1802
tribe Rhagiini Kirby, 1837
genus Euracmaeops Danilevsky, 2014
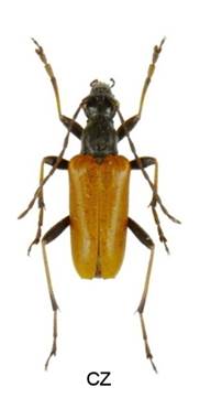
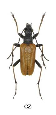
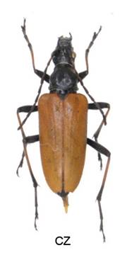
Euracmaeops marginatus (Fabricius, 1781)
subgenus Euracmaeops Danilevsky, 2014







Velikost 7-11 mm.
Bionomie. V borových porostech souvislejšího charakteru, menších nepůvodních porostech i lesících remízového typu. Především Demelt (1966) uvádí výskyt larev v Pinus na bazi kmene v silné kůře, hlavně tam, kde pevně nepřiléhá. Koncem 2. roku zalézá do vrchních vrstev půdy k zakuklení, vývoj dvouletý. - Imága se vyskytují od poloviny V. do VII., maximum konec V. a počátek VI. na rovnanén dříví i skládkách, osluněných kmenech a větvích. Není mi znám žádný nález na květech.
Živné rostliny - Pinus, zřídka Picea.
Variabilita. Barva krovek je většinou hnědá, ale častá je i černá.
Euracmaeops septentrionis (C. G. Thomson, 1866)
subgenus Euracmaeops Danilevsky, 2014







Velikost 7,5-9 mm.
Bionomie. Jehličnaté porosty horských poloh. Podle Palma (1957) larva žije především v ohněm poškozených suchých stromech. Vajíčka jsou nakladena do kůry, kde se také vyvíjejí larvy. Kuklení v půdě, nebo vzácně v kůře. Vývoj asi dvouletý. Podle Čerepanova (1979) většina larev před druhou zimou opouští požerky, vypadává do půdy, kde si vytvoří kukelní komůrku. Některé larvy opouštějí hostitelskou rostlinu teprve příští jaro. - Imága se vyskytují od VI. do VIII., maximum VII. především na rovnaném dříví i kulatině na skládkách.
Živné rostliny – Picea, Pinus a Larix.
Variabilita. Většina imag má krovky černé barvy, ale mohou být i hnědé.
Euracmaeops smaragdulus (Fabricius, 1792)
subgenus Pilosoacmaeops Özdikmen, 2025




Velikost 6,5-12 mm
Bionomie je velmi podobná jako u předcházejících druhů. Jehličnaté lesy.
Euracmaeops angusticollis (Gebler, 1833)
subgenus Pilosoacmaeops Özdikmen, 2025



Velikost 6-12 mm.
Bionomie je velmi podobná jako u předcházejících druhů. Jehličnaté lesy.